2024-01-29隆鼻修复多久才能二次修复?取出后可以马上手术吗?

如今,鼻部手术已经成为医学美容领域中常见的一种技术,许多女性对此趋之若鹜。尽管这种手术本身是相当不错的,但一些女性可能无法忍受隆鼻后的轻微不适。或者鼻部手术可能完全失败,从而需要进行鼻部修复手术。修复手术需要更加谨慎,因为与初次手术相比,存在着更多需要注意...
2023-12-25什么时候做隆鼻失败修复手术好呢?一定要慎重再慎重!

"面如花,鼻当家",一个漂亮的鼻子可以让爱美者的脸蛋大大加分,所以隆鼻手术已经逐渐成为仙女们生活中的一个热门项目。然而,隆鼻手术作为一项技术难度较高的整形手术项目,选择合适的医院和医生很重要。
2023-12-22鼻修复手术一般多少钱?用哪种材料效果好?

对于那些对自己鼻型不太满意的爱美者来说,鼻整形手术可能会出现失败的情况,这不仅会影响他们的健康和形象,还会让他们感到困惑。为了解决这个问题,爱美者可以考虑选择鼻修复技术来改善现状。然而,在进行鼻修复手术前,他们首先需要了解这种手术的费用以及使用的材料。
2023-12-18隆鼻手术失败的症状有哪些?可以经得起几次修复?

隆鼻修复好越少越好,鼻子是由鼻骨和软骨组织组成的,如果隆鼻手术失败,就要再次做修复,这样对鼻子的组织损伤就会继续加大。而软骨组织是宝贵的,多次手术形成的组织疤痕不仅会导致挛缩,还会导致外观变得畸形,所以多次修复不仅不能使鼻子美观,反而会导致出现很多后遗症。
2023-11-02隆鼻二次修复有风险吗?需要多久能恢复正常?

亚洲人的脸型和面部比例与西方人相比,呈现出较为宽大、塌陷、扁平的特点,而鼻子则位于面部的中央位置,因此,许多女性为了改善面部五官的整体协调性,选择接受隆鼻手术。随着对隆鼻手术需求的增加,市面上涌现出各种规模大小的隆鼻医院。
2023-09-18鼻部修复具体过程是什么呢?

鼻部修复是一种外科手术过程,旨在改善或修复鼻子的外观和功能。它可以涉及整形手术、修复手术或两者的结合。具体的鼻部修复过程取决于个人的需要和目标,下面是一般情况下鼻部修复的具体过程:
2023-09-13隆鼻修复的假体取出方法都有哪些呢?

隆鼻整形手术是一种常见的美容手术,但在手术后可能会出现一些并发症,例如感染、假体移位、假体破裂等。如果出现这些问题,可能需要取出假体进行修复。本文将介绍隆鼻修复的假体取出方法。
2023-09-12肋骨鼻修复原来鼻子中的肋骨可以二次用吗?

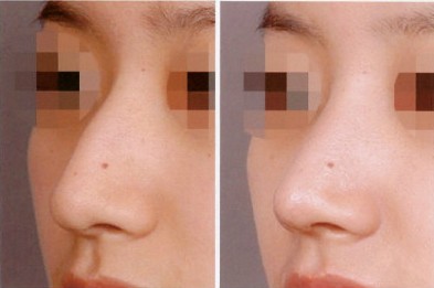
隆鼻失败修复手术和鼻整形手术都是一样的,由于每个人的基础不同、选择的医生不同、设计的案例不同等因素,术后效果自然也是不同的。所以想要获得满意的鼻修复效果,建议大家多多参考各种鼻修复案例,并且谨慎去选择适合自己的鼻修复方案,这样才能让你恢复美丽的样子
2021-11-18鼻部失败修复后的效果怎么样

对于一些鼻子整形失败的求美者来说,不仅要承受心理压力,也会让自己很不自信,但如果选择鼻部修复术实现自己的美也不是没有办法,所以在选择二次修复一定要重视,不要盲目,下面就跟小编一起来看看修复后效果怎么样
2021-11-17鼻部失败修复手术效果好不好

鼻子也是五官中最重要的部分,影响着整体面部的美丽,由于生活中太多人对自己的鼻子不够满意,想要通过隆鼻手术来实现美鼻,但因各种因素导致隆鼻失败,于是内心很痛苦,因此,鼻部失败修复手术的出现,给求美者带来
蜀ICP备19040417号-1 形美网 形美网官网 版权所有
Copyright © www.xingmeizx.com. All Rights Reserved.